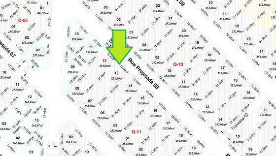
Terreno/Lote à Venda com 252m² por R$ 150.000 Recanto da Lagoa, Quadra 11, Lote 13 - Luiz Iglésias, Colatina-ES

Artur Zanotelli
Corretor de Imóveis CRECI: 12.923-F

Dimensões e metragens

252,00 m² área total
Área total do terreno onde o imóvel está localizado

Lote no Recanto da Lagoa, Acampamento

Lote à venda no loteamento Recanto da Lagoa, bairro Luiz Iglésias (Acampamento), em Colatina-ES!

Localizado em um loteamento residencial, você terá fácil acesso ao Centro da cidade, além de ter uma vizinhança tranquila e familiar.

Os amplos 252,00 m², sendo 12,0 m de frente e 21,0 m de lateral, fornecerá uma área bem espaçosa para você construir a casa dos seus sonhos e poder fazer uma bela área de lazer com quintal.

A topografia do terreno também chama atenção, por ser em um declive não muito acentuado, possibilitando uma obra ágil e econômica.

Observação: O lote ao lado (Lote 14 da Quadra 11), também está à venda, permitindo que você escolha entre os dois ou já invista em dois lotes vizinhos.

Aproveite essa chance e entre em contato agora mesmo para agendar sua visita ao local!

Quer mais informações?

Fale com um especialista para te ajudar. Sem compromisso.

Quero falar com um especialista
Artur Zanotelli
Corretor de Imóveis CRECI: 12.923-F

Gostou deste terreno/lote?

Conheça a região do bairro Luiz Iglésias

Gostou deste terreno/lote?

Preencha o formulário abaixo e tire todas suas dúvidas sem compromisso.

WhatsApp
x

Olá! Preencha os campos abaixo para iniciar a conversa no WhatsApp